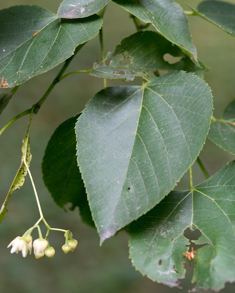
American Basswood
Tilia americana
Taxonomy
- Division:
- Magnoliophyta | - Flowering plants
- Family:
- Malvaceae
- Genus:
- Tilia
- Species:
- Tilia americana
Growth Characteristics
- Life Cycle:
- Perennial
- Growth Habit:
- Tree
- Height:
- More than 40 ft
- Light Requirements:
- Full Sun, Part Shade, Shade
- Drought Tolerance:
- Medium
- Bloom Months:
- apr, may, jun, jul
- Bloom Colors:
- Yellow
Native Range
United States: Alabama, Arkansas, Connecticut, District of Columbia, Delaware, Florida, Georgia, Iowa, Illinois, Indiana, Kansas, Kentucky, Louisiana, Massachusetts, Maryland, Maine, Michigan, Minnesota, Missouri, Mississippi, North Carolina, North Dakota, Nebraska, New Hampshire, New Jersey, New York, Ohio, Oklahoma, Pennsylvania, Rhode Island, South Carolina, South Dakota, Tennessee, Texas, Virginia, Vermont, Wisconsin, West Virginia, Canada: Manitoba, New Brunswick, Ontario, Quebec, Saskatchewan
Keystone Species Ranking
- Caterpillar Keystone:
- ★☆☆☆☆ Based on number of butterfly and moth species using this genus as host plant (Source: National Wildlife Federation)
Host Plant for Caterpillars
Acontia terminimaculata, Ailanthus silkmoth (Samia cynthia), American Dagger Moth (Acronicta americana), American plum borer (Euzophera semifuneralis), Angus's datana (Datana angusii), Bagworm moth (Thyridopteryx ephemeraeformis), Banded Tussock Moth (Halysidota tessellaris), basswood leafroller (Pantographa limata), Bethune's Pinion (Lithophane bethunei), Blinded Sphinx (Paonias excaecata), Brown Panopoda (Panopoda carneicosta), Bucculatrix improvisa, Canadian Melanolophia (Melanolophia canadaria), Cecropia moth (Hyalophora cecropia), Coleophora tiliaefoliella, Colocasia propinquilinea, Confused Morrisonia (Morrisonia confusa), Copper Underwing (Amphipyra pyramidoides), Crocus Geometer (Xanthotype sospeta), deceptive hypena (Hypena deceptalis), Definite Tussock Moth (Orgyia definita), Dichomeris ligulella, Distinct Lichen Moth (Achatia distincta), Double-lined Prominent (Lochmaeus bilineata), Ellida caniplaga (Ellida caniplaga), elm spanworm moth (Ennomos subsignaria), Elm Sphinx (Ceratomia amyntor), fall cankerworm (Alsophila pometaria), Fall webworm (Hyphantria cunea), Forest Tent Caterpillar (Malacosoma disstria), Frosted Dagger Moth (Acronicta hastulifera), grand spiramater moth (Spiramater grandis), Gypsy moth (Lymantria dispar), Hethemia pistasciaria, hibiscus Quaker (Orthosia hibisci), Hickory Tussock Moth (Lophocampa caryae), Homoglaea hircina, Imperial Moth (Eacles imperialis), Io moth (Automeris io), Isa textula, Kent's Thorn (Selenia kentaria), Lace-winged zale (Zale minerea), Leopard moth (Zeuzera pyrina), Linden looper (Erannis tiliaria), Lithophane laticinerea, Lomanaltes eductalis, maple-basswood leafroller (Sparganothis pettitana), Morning-glory prominent moth (Schizura ipomoeae), Nameless Pinion (Lithophane innominata), Obliquebanded leafroller (Choristoneura rosaceana), Ochre Euchlaena (Euchlaena marginaria), Olethreutes nigranum, Olethreutes tilianum, One-spotted variant moth (Hypagyrtis unipunctata), Oreana unicolorella, Orthosia revicta, Phyllonorycter lucetiella, Phyllonorycter tiliacella, Polyphemus moth (Antheraea polyphemus), Promethea silkmoth (Callosamia promethea), Saddleback Caterpillar Moth (Acharia stimulea), singed pinion (Lithophane semiusta), Sparganothis acerivorana, spiny looper moth (Phigalia titea), Spring cankerworm (Paleacrita vernata), Stigmella apicialbella, Stigmella argentifasciella, Stigmella tiliella, tawny brown carpet moth (Anacamptodes ephyraria), tentoriferella (Machimia tentoriferella), three-lined leafroller (Pandemis limitata), ugly-nest caterpillar moth (Archips cerasivorana), Unicorn caterpillar moth (Schizura unicornis), Walker’s Atlas Moth (Samia walkeri), Wanton Pinion (Lithophane petulca), white-fringed emerald (Nemoria mimosaria), White-headed Symmerista (Symmerista albifrons), White-marked Tussock Moth (Orgyia leucostigma), Winter moth (Operophtera brumata), woolly gray (Lycia ursaria), Yellow-banded Underwing (Catocala cerogama), Yellownecked caterpillar (Datana ministra), Eastern Tiger Swallowtail (Papilio glaucus), Red-spotted Purple (Basilarchia arthemis)
Reported Fauna Sightings
Bees: Bombus bimaculatus (Bombus bimaculatus), Bombus bimaculatus (Bombus bimaculatus), Common eastern bumble bee (Bombus impatiens), Common eastern bumble bee (Bombus impatiens), Yellow-banded bumble bee (Bombus terricola), Yellow-banded bumble bee (Bombus terricola), Yellow-faced bumble bee (Bombus vosnesenskii), Yellow-faced bumble bee (Bombus vosnesenskii)
Soil Requirements
- Soil Type:
- rich, well-drained loamy soil
- pH:
- 5.5 - 7.5 (slightly acidic to neutral)
- Drainage:
- tolerates poor drainage
- Moisture:
- consistently moist
- Notes:
- Prefers deep, fertile soils in its native range.
Germination Information
Pre-treatment: Seeds are scarified prior to stratification. Seeds are placed in cold moist stratification for 90 days.
Source: npn.rngr.net