Bao Li
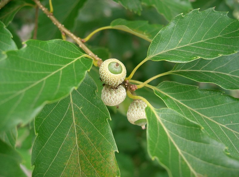
Quercus serrata
KENPEI
Taxonomy
- Division:
- Magnoliophyta | - Flowering plants
- Family:
- Fagaceae
- Genus:
- Quercus
- Species:
- Quercus serrata
Growth Characteristics
- Height:
- More than 40 ft
- Light Requirements:
- Full Sun
- Drought Tolerance:
- Medium
- Bloom Months:
- mar, apr, may
- Bloom Colors:
- green
Keystone Species Ranking
- Caterpillar Keystone:
- ★☆☆☆☆ Based on number of butterfly and moth species using this genus as host plant (Source: National Wildlife Federation)
Soil Requirements
- Soil Type:
- rich, well-drained loamy soil
- pH:
- 5.5 - 6.5 (slightly acidic to neutral)
- Drainage:
- excellent drainage required
- Moisture:
- consistently moist
- Notes:
- prefers fertile soils in native forests